首頁
台灣
世界
動物
圖文
娛樂
女生
出門
動漫
生活
公關專欄
編輯專欄
網人365
選擇語言:
還原
简体
繁體
關於我們
徵才
聯絡我們
刊登廣告
安卓APP
愛瘋APP
選單
首頁
台灣
世界
動物
娛樂
電影
星聞
影評
美漫
圖文
女生
時尚單品
美妝
感情
出門
旅遊
美食
動漫
動漫宅
遊戲
Cosplay
生活
求職
藝術
知識
星座
科技
小物
親子
公關專欄
編輯專欄
蘑菇宅
雪若Q談人蔘
Adrian
ChloE直講
網人365
今日紅什麼
本週主打星
TEEPR原創影片
叭啦叭啦研究室
TEEPR推一波
亮新聞
IG專區
首頁
台灣
世界
動物
圖文
娛樂
女生
出門
動漫
生活
公關專欄
編輯專欄
網人365
球賽突遇雷擊!多名球員「僵直倒地」1死、4送醫 死者身分曝光
世界
November 7, 2024
水餃取名「樹蘭餃」挨轟低級!業者委屈揭命名由來
台灣
,
美食
November 7, 2024
曾批劉德華「不是歌手」!男星驚傳開演唱會「只有50人到場」門票慘掉到22元
星聞
,
世界
November 7, 2024
小夫妻鐵軌忘情拍照「沒看見火車來」 絕望「雙雙跳下27公尺高深谷」
世界
November 7, 2024
驚拋震撼彈!女星無預警離婚「結束7年婚姻」
星聞
,
世界
November 7, 2024
安卓用戶注意!「這款APP」藏最新病毒 存款恐全盜光
台灣
,
世界
,
科技
November 7, 2024
彰化再傳死亡車禍!母女被撞飛 國二女兒搶救7天亡
台灣
November 7, 2024
把牢房塗成「少女夢幻粉」 專家實驗4年驚:囚犯變乖了
IG專區
,
世界
,
知識
November 7, 2024
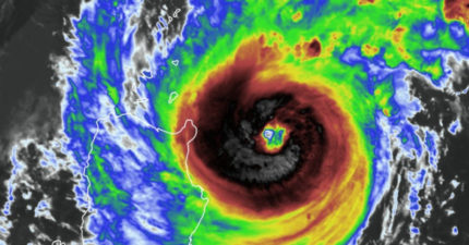
銀杏颱風恐來襲?最新預測路徑曝光
台灣
November 7, 2024
炎亞綸宣布離開台灣!「結伴破億男星」認了:被帶壞
星聞
,
台灣
November 7, 2024
今迎極寒日!立冬「6大禁忌」千萬別犯 做錯1事恐陰氣上身
台灣
November 7, 2024
「小鋼炮」銀杏颱風眼曝光!3地嚴防雨彈
台灣
November 7, 2024
跳轉頁面
« 第一頁
‹ 上一頁
641
642
643
644
645
646
647
648
649
650
651
下一頁 ›
最後一頁 »
← Older posts
Newer posts →
選擇語言:
還原
简体
繁體
TEEPR 原創影片
「台灣最美國中生」韓國出道!「才15歲美成這樣」幻藍小熊掀熱潮
聊天時「故意讓對方尷尬」才會成功?馬斯克、賈伯斯超愛用「沉默法則」
日本推主為92歲阿嬤自製推錢機!背後機關運作曝光
斷電摩天輪突砸死人!台灣最猛鬼樂園 情侶遇「指路老夫妻」離開見1幕腿軟
差點沒有哆啦A夢這個角色?哆啦A夢腳是白色「為何走路都不會髒?」 超多人沒看過的誕生秘密
載入更多原創影片
余天親曝罹癌「都拿掉了」 胡瓜談組合:看一次少一次
December 11, 2025
臉凹憔悴!吳建豪遭傳「暴瘦20公斤」 她巧遇本尊揭真實狀態
December 11, 2025
大S善舉曝光!貧困學生「繳不出學費」求救 她「霸氣1舉動」超感人
December 10, 2025
納豆當爸了!依依「辛苦拚試管」宣布懷孕 胎況曝光
December 8, 2025
棒棒堂小煜「突宣布離婚」 與妻5年婚劃下句點:換了一種更舒服的陪伴方式
December 8, 2025
原來他早已離世!曾「打趴王菲、周董」19歲卻被摯友陷害入獄 23歲在母親懷裡病逝
December 8, 2025
颱風假吃鼎泰豐「巧遇大咖站櫃檯」 背景超狂卻謙虛!客人員工都敬佩
December 8, 2025
正能量態度面對新人生!男星「擺攤賣雞蛋糕」 高EQ回應酸民
December 8, 2025
「6大天后罕見同框」聚餐照曝光!網羨炸:含金量爆表
December 5, 2025
快戒掉!研究曝「2飲食」恐成肺腺癌推手 營養師示警了
December 4, 2025
網紅飲料店全台20多間倒光!官方FB也消失
December 4, 2025
「擁4妻妾」為何沒違法?吊車大王全說了
December 4, 2025
載入更多時事新聞
兒童不宜內容
此內容只給年滿18歲的讀者觀看,如非18歲請退出!
我大人了啦!
未滿18歲
cwv3_den_title
cwv3_den_msg
未滿18歲