首頁
台灣
世界
動物
圖文
娛樂
女生
出門
動漫
生活
公關專欄
編輯專欄
網人365
選擇語言:
還原
简体
繁體
關於我們
徵才
聯絡我們
刊登廣告
安卓APP
愛瘋APP
選單
首頁
台灣
世界
動物
娛樂
電影
星聞
影評
美漫
圖文
女生
時尚單品
美妝
感情
出門
旅遊
美食
動漫
動漫宅
遊戲
Cosplay
生活
求職
藝術
知識
星座
科技
小物
親子
公關專欄
編輯專欄
蘑菇宅
雪若Q談人蔘
Adrian
ChloE直講
網人365
今日紅什麼
本週主打星
TEEPR原創影片
叭啦叭啦研究室
TEEPR推一波
亮新聞
IG專區
首頁
台灣
世界
動物
圖文
娛樂
女生
出門
動漫
生活
公關專欄
編輯專欄
網人365
他發現「台男已放棄追女生」 曝1關鍵:不如不要
感情
,
台灣
October 1, 2024
麥當勞員工曝:從點餐可以分辨出6種人 聰明人都點這個
美食
,
世界
October 1, 2024
明有望放颱風假?氣象署公布各縣市「暴風侵襲率」:半數飆破95%
台灣
October 1, 2024
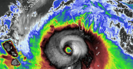
山陀兒正式升格!恐成「台灣史上首個登陸西南部陸地強颱」虐台時間再延長 各地影響時間曝光
台灣
October 1, 2024
山陀兒升強颱!「幾乎沒動」鬼轉撞進南部時間曝 氣象署:特別擔心
台灣
October 1, 2024
新北男打零工「買二手紅牌」騎車噴飛亡 妹悲痛:怎跟年邁爸媽說
台灣
September 30, 2024
去登記結婚「未婚夫突蹲角落綁鞋帶」 一旁打掃阿姨急拉她警告:這婚結不得
感情
,
世界
September 30, 2024
不宜買彩券!3星座年末無緣發財 最後一名「小心背黑鍋」
台灣
,
星座
September 30, 2024
洗手驚見水槽「2粒緊盯」她嚇到尖叫 6周後結局出乎意料
世界
,
動物
September 30, 2024
資深男星驚傳過世!家屬忍痛拔管 親友曝「最後遺言」
星聞
,
台灣
September 30, 2024
她翻出「古早味畢業照」 7、8年級生一看笑翻:我也有
台灣
September 30, 2024
校長深信黑魔法 為求財運竟「學生當祭品」勒斃
世界
September 30, 2024
跳轉頁面
« 第一頁
‹ 上一頁
713
714
715
716
717
718
719
720
721
722
723
下一頁 ›
最後一頁 »
← Older posts
Newer posts →
選擇語言:
還原
简体
繁體
TEEPR 原創影片
「台灣最美國中生」韓國出道!「才15歲美成這樣」幻藍小熊掀熱潮
聊天時「故意讓對方尷尬」才會成功?馬斯克、賈伯斯超愛用「沉默法則」
日本推主為92歲阿嬤自製推錢機!背後機關運作曝光
斷電摩天輪突砸死人!台灣最猛鬼樂園 情侶遇「指路老夫妻」離開見1幕腿軟
差點沒有哆啦A夢這個角色?哆啦A夢腳是白色「為何走路都不會髒?」 超多人沒看過的誕生秘密
載入更多原創影片
男星喊「台灣是國家」慘被廠商退工作 認失去滿多錢:我還是會說
December 16, 2025
安心亞耶誕城火辣開唱 遭酸民嗆「40歲了還在呼」
December 16, 2025
0偽裝遊迪士尼!正妹蹲路邊啃雞腿 一看竟是「超大咖女星」
December 15, 2025
認了整形!韓男星術後「眼睛只剩一條縫」 慘認不出本人
December 11, 2025
余天親曝罹癌「都拿掉了」 胡瓜談組合:看一次少一次
December 11, 2025
臉凹憔悴!吳建豪遭傳「暴瘦20公斤」 她巧遇本尊揭真實狀態
December 11, 2025
大S善舉曝光!貧困學生「繳不出學費」求救 她「霸氣1舉動」超感人
December 10, 2025
顏值超高!45歲大咖女星「高中仙氣照」 班主任:至少10個班男生在追她
December 9, 2025
納豆當爸了!依依「辛苦拚試管」宣布懷孕 胎況曝光
December 8, 2025
棒棒堂小煜「突宣布離婚」 與妻5年婚劃下句點:換了一種更舒服的陪伴方式
December 8, 2025
原來他早已離世!曾「打趴王菲、周董」19歲卻被摯友陷害入獄 23歲在母親懷裡病逝
December 8, 2025
吃鼎泰豐「巧遇大咖站櫃檯」 背景超狂卻謙虛!客人員工都敬佩
December 8, 2025
載入更多時事新聞
兒童不宜內容
此內容只給年滿18歲的讀者觀看,如非18歲請退出!
我大人了啦!
未滿18歲
cwv3_den_title
cwv3_den_msg
未滿18歲